Public Notices

Council shares public notices to inform the community about important Wyndham matters.

View the latest public notices for Council meetings, general notifications, property matters and other information below.

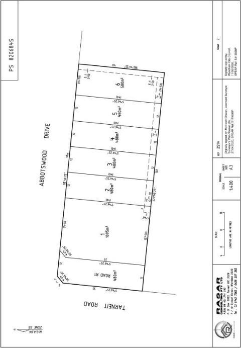
Notice of Road Discontinuance: 47 Abbotswood Drive Hoppers Crossing

Pursuant to Clause 3 Schedule 10 of the Local Government Act 1989.

49-47 Abbotswood Drive Hoppers Crossing

Address: 47 Abbotswood Drive Hoppers Crossing
Title particulars: Road R1 PS 820684S

Council seek to discontinue Road R1 on PS820684S and change the status to Residential to sell the land to the adjoining land owner. It was determined that the land is no longer required for the purpose of a road and is considered surplus land to be divested.

Any person may provide feedback on the proposal. Feedback must be received no later than 28 April 2026 (28 day period)
Please contact Jordan Quinn, Property Officer at Wyndham City Council on 03 8734 4534 or email mail@wyndham.vic.gov.au Attn: Strategic Property Management for any further information or to provide feedback.

Notice of Intention to Lease: Part Brookdale Road Reserve, 2 Brookdale Road, Point Cook

Wyndham City Council (“Council”) hereby gives notice under section 115 of the Local Government Act 2020 (“the Act”) of its intention to grant a Lease to Indara Corporation Pty Ltd (“Indara”) for the construction, maintenance, and operation of a Telecommunications Facility at Part Brookdale Road Reserve, 2 Brookdale Road, Point Cook.

The proposed Lease Area is highlighted below:

Aerial image

 

Principal Terms of the Lease:

  • Rent: $24,000 per annum plus GST
  • Term: Ten (10) years with one (1) further term option of Ten (10) years. 
  • Permitted Use: Installing, storing, operating, repairing, maintaining, altering and replacing and removal of the Tenant’s Equipment for the purpose of telecommunications operations.

Further details can be obtained through Council’s Strategic Property Management Department by phone on 1300 023 411 or email to mail@wyndham.vic.gov.au.